Bought with Alejandro Mercado
For more information regarding the value of a property, please contact us for a free consultation.
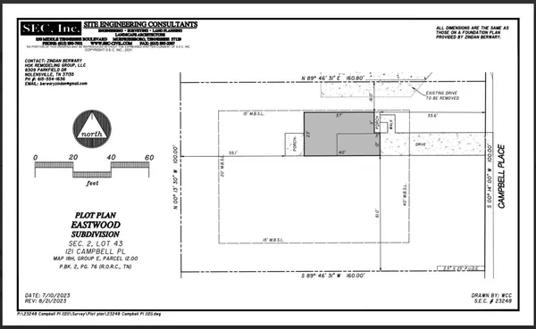
121 Campbell Pl La Vergne, TN 37086
Want to know what your home might be worth? Contact us for a FREE valuation!

Our team is ready to help you sell your home for the highest possible price ASAP
Key Details
Sold Price $125,000
Property Type Vacant Land
Listing Status Sold
Purchase Type For Sale
Subdivision Eastwood Ii
MLS Listing ID 2992793
Sold Date 09/26/25
HOA Y/N No
Annual Tax Amount $382
Lot Size 0.390 Acres
Acres 0.39
Lot Dimensions 100 X 160
Property Description
17,000 sq ft lot ready to build with all utilities available at the street. Currently has a 2-car garage on it. Electrical Meter disconnected. driveway to garage shared with 125 Campbell Place MLS#2779993. sold separately. Option to buy both properties together. Survey and sample plat attached in media to scale out your plans.
Location
State TN
County Rutherford County
Zoning R1
Interior
Fireplace N
Exterior
Utilities Available Water Available
View Y/N false
Private Pool false
Building
Lot Description Level
Sewer Public Sewer
Water Public
Schools
Elementary Schools Cedar Grove Elementary
Middle Schools Rock Springs Middle School
High Schools Lavergne High School
Others
Senior Community false
Special Listing Condition Standard
Read Less

© 2025 Listings courtesy of RealTrac as distributed by MLS GRID. All Rights Reserved.
GET MORE INFORMATION




